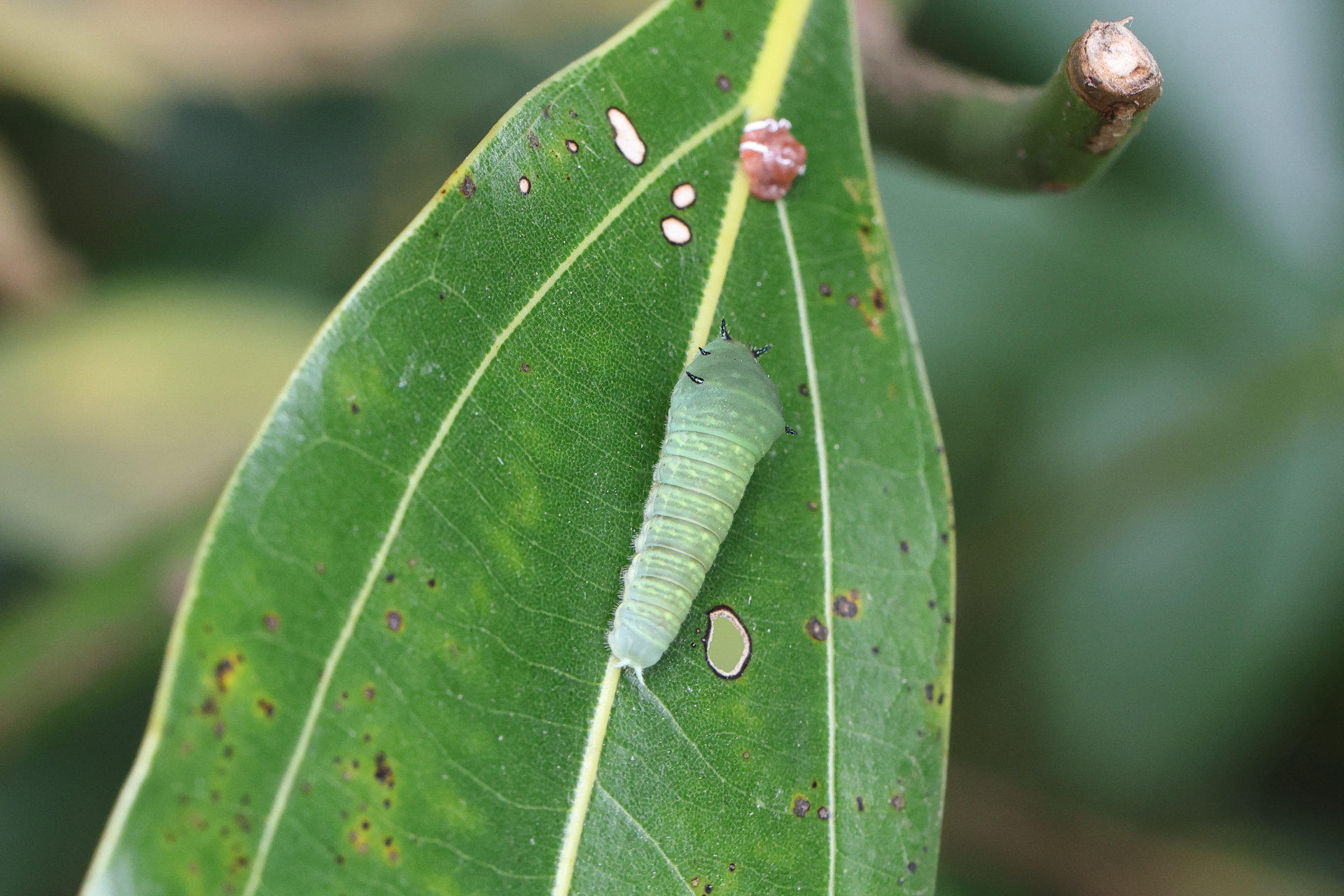
にゃうです 涼しくなってきました 公園でアオスジアゲハの幼虫を見つけました More from my siteベニスズメ打ちっ放しワクチン接種台風10号接近の公園アオマツムシ雨上がりの公園 Tweet 投稿ナビゲーション 雨上がり秋の公園 アキアカネ他